Humanos avançam para “caos climático”, alertam cientistas

5
Humanos avançam para “caos climático”, alertam cientistas
Anúncio Patrocinado


]Um novo relatório de um grupo de cientistas líderes alerta que a humanidade está se dirigindo para um caos climático devido ao aumento recorde no consumo de combustíveis fósseis em 2024. O uso global de petróleo, gás e carvão atingiu níveis sem precedentes, liberando mais gases de efeito estufa do que nunca, segundo o estudo publicado na revista BioScience.

Os especialistas destacam que esse cenário contribui para eventos extremos como ondas de calor, tempestades, inundações e incêndios florestais cada vez mais intensos.

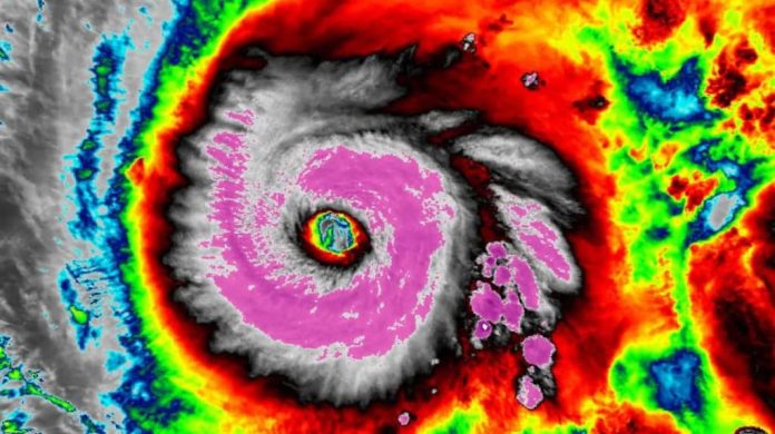
O documento também evidencia que os sinais vitais do planeta estão em alerta máximo, incluindo temperaturas recordes nos oceanos, degelo acelerado das camadas de gelo e perda crescente de florestas em incêndios. Os pesquisadores afirmam que o furacão Melissa, registrado recentemente, é mais um indicativo de que o clima alterado ameaça vidas e comunidades em escala sem precedentes.

Furacão Melissa em imagem de satélite (Imagem: NOAA)

Consumo de combustíveis fósseis e impactos globais

Apesar de algumas regiões avançarem na transição energética, o uso total de combustíveis fósseis aumentou 1,5% em 2024, de acordo com dados do Energy Institute. As emissões de dióxido de carbono relacionadas à energia também atingiram recordes históricos, contrárias às necessidades de combate à crise climática.

Anúncio PatrocinadoGestor de Tráfego - Do Mil ao Milhão: Torne-se um Especialista em Tráfego Pago

Alguns pontos positivos aparecem, como a queda no consumo de combustíveis fósseis na China no primeiro semestre do ano e o crescimento acelerado da energia renovável, superando a média global. Na Califórnia, por exemplo, fontes limpas responderam por dois terços da eletricidade em 2023. No entanto, esses avanços ainda são insuficientes frente à escalada das emissões globais.

poco-de-petroleo-1-1024x547 Humanos avançam para “caos climático”, alertam cientistas
Uso de combustíveis fósseis atingiu níveis históricos em 2024, acendendo alerta de pesquisadores (Imagem: Hamara / Shutterstock.com)

Necessidade de ações rápidas e coordenadas

William Ripple, professor da Oregon State University e coautor do relatório, ressalta que ainda há tempo para limitar os danos, mas isso exige mudanças urgentes. Entre as medidas propostas estão a adoção de eletricidade limpa, transporte sustentável e redução da criação de gado. O relatório também destaca que evitar cada fração de grau de aquecimento é crucial para reduzir riscos de colapso de geleiras, degelo de permafrost e perda massiva de florestas.

Segundo os cientistas, o ritmo atual do aquecimento aumenta significativamente a chance de ultrapassar pontos de inflexão climática perigosos. A transição energética, se adotada rapidamente, pode trazer benefícios econômicos e ambientais imediatos, sendo mais barata que lidar com as consequências do clima descontrolado.

poco-de-petroleo-1-1024x547 Humanos avançam para “caos climático”, alertam cientistas
Derretimento de camada do permafrost (Imagem: Henrik A. Jonsson/Shutterstock.com)

Leia mais:

  • Por que não sentimos as estações do ano em alguns lugares do mundo?
  • Por que o oceano Pacífico é tão grande?
  • O que acontece na natureza durante a primavera?

Papel das políticas e consumo global

O relatório critica políticas que incentivam a produção de combustíveis fósseis, como as do governo do presidente Donald Trump, que podem atrasar a mudança para fontes limpas de energia. Especialistas apontam que outros países precisam assumir liderança global, enquanto a maior parte das emissões é atribuída ao consumo elevado dos 10% mais ricos da população mundial desde 1990.

Entre as soluções sugeridas pelos pesquisadores estão redução do consumo excessivo, proteção e restauração de ecossistemas, além da adoção de dietas menos dependentes de carne. Ripple reforça que enfrentar a crise climática requer mudanças profundas em como sociedades valorizam a natureza, estruturam suas economias e utilizam recursos.

O post Humanos avançam para “caos climático”, alertam cientistas apareceu primeiro em Olhar Digital.



Fonte do Artigo
Tags:

Gestor de Tráfego

#tecnologia #tecnologias #technology #tecnolog #iphone #informatica #tech #design #samsung #internet #apple #smartphone #seguranca #venezuela #celular #celulares #inovar #qualidade #software #empresas #cursos #engenharia #industria #marketing #ti #tecnoblog #veja #olhardigital #mundodigital #inteligenciaartificial #criar site #criar site curitiba #wiysolutions